Description du bien
INEO HABITAT TINTENIAC AXE RENNES/STMALO
A MONTREUIL SUR ILLE
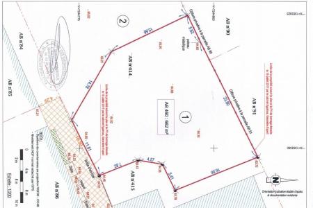
Un terrain d'environ 662m² constructible en plein centre bourg, proche de la gare et borné.
La viabilisation est à prévoir, les réseaux arrivent à 200m du terrain (tout à l'égout, élec, eau, PTT).
Vous aurez les commodités à 5 minutes à pied, accès facile à la gare.
102 600 EUR* (Prix de vente)
* Honoraires TTC inclus à la charge de l'acquéreur : 8%
Prix du bien hors honoraires : 95 000 EUR
Pour tout renseignement contacter Servane LE LAY au 07 61 64 93 76 ou par mail : tinteniac@ineohabitat.com.
Les informations sur les risques auxquels ce bien est exposé sont disponibles sur le site Géorisques : http://www.georisques.gouv.fr. (8.00 % honoraires TTC à la charge de l'acquéreur.)
Informations complémentaires
- Ville : Montreuil-sur-ille
- Surface habitable * : 662 m²
- Surface du terrain * : 662 m²
- Nb. de niveaux : 1
- Prix : 102 600 €
- Honoraires TTC : 7 600 €
- Référence : 59825494
Dépenses énergétiques
* Surface approximative.